今日の献立
本日は、帆立(ホタテ)貝ご飯です。
北海道のホタテ貝が運良く仕入れられました。
特にクセもなく、甘みがあり食べやすいホタテ貝は日本で一番消費される貝類です。
ちなみに二番目はアサリですが、食料自給率のページを見ると、アサリの42パーセントに対し、ホタテはなんと105パーセント。
なるほど、輸入のホタテは見ない訳です。
やはりこれは養殖が成功している結果でしょう。
私が思うに回遊する魚に対し、どちらかというとジッとしている貝類は味の差は少ないと思います。
(ホタテに関しては一晩で500メートル動いた記録があります)
また、餌もプランクトンなどですから、こちらも魚類とは異なります。
ただ、ホタテに関しましても、やはり天然物は美味。
以前のお店でよく仕入れた希少な10年物などは、何より大きく貝柱の弾力が違います。
そうはいいましても食べ比べれば・・という感じですが。
理由は詳しく分かりませんが、今年はホタテが高値です。
ホタテが高いので、当然、貝ヒモまでが値上がりしています。
貝ヒモもリクエストをいただいてますが、仕入れられないのが現状です。
◆おかず◆ 南瓜の含め煮 カリフラワーの卵とじ キュウリとワカメの酢の物
◎税込サービス価格 520円
北海道のホタテ貝が運良く仕入れられました。
特にクセもなく、甘みがあり食べやすいホタテ貝は日本で一番消費される貝類です。
ちなみに二番目はアサリですが、食料自給率のページを見ると、アサリの42パーセントに対し、ホタテはなんと105パーセント。
なるほど、輸入のホタテは見ない訳です。
やはりこれは養殖が成功している結果でしょう。
私が思うに回遊する魚に対し、どちらかというとジッとしている貝類は味の差は少ないと思います。
(ホタテに関しては一晩で500メートル動いた記録があります)
また、餌もプランクトンなどですから、こちらも魚類とは異なります。
ただ、ホタテに関しましても、やはり天然物は美味。
以前のお店でよく仕入れた希少な10年物などは、何より大きく貝柱の弾力が違います。
そうはいいましても食べ比べれば・・という感じですが。
理由は詳しく分かりませんが、今年はホタテが高値です。
ホタテが高いので、当然、貝ヒモまでが値上がりしています。
貝ヒモもリクエストをいただいてますが、仕入れられないのが現状です。
◆おかず◆ 南瓜の含め煮 カリフラワーの卵とじ キュウリとワカメの酢の物
◎税込サービス価格 520円
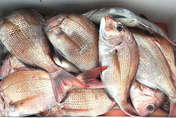
本日は、鯛(タイ)めしです。
潮の流れが良かったのか?
今回は運良く明石の真鯛が手に入りました。
もちろん天然物で活け締めのお刺身用。
型は1キロほどですが、文句なしに美味しい鯛です。
私はここ数十年、養殖物の鯛は触ったことがありません。
魚もいろいろ種類がありますが、鯛には特にこだわりがあります。
料理屋さんのお刺身、また、お寿司屋さんでも主流は養殖鯛です。
活け締めですから身はイカってコリコリしていますが、脂っぽくて旨味がない。
やはり餌の違いと生活環境の差でしょう。
浅瀬で飼われていますので、魚体は黒く目がギラついています。
しかし、養殖物がなければ鯛などは庶民の口には入りませんし、もちろん当店の献立にも上がりませんから、無視できないありがたい存在ではあります。

今回の天然真鯛。
なんとも優雅な色と形は惚れ惚れします。
特に明石から淡路にかけての鯛は海老を食べていますので、桜色をしています。
また、急流を泳いでいますので、身は締まりプリプリとしています。
鯛を捌いてサッと焼き、黄金出汁と鯛出汁を混ぜて炊飯します。
今の真鯛は産卵前で一番美味しい時期に当たります。
お天気は崩れそうですが、旬の鯛めしをリーズナブルな価格でぜひご賞味ください。
◆おかず◆ 茄子のお浸し 白ネギの卵とじ サラダブロッコリー
◎税込出血価格 540円
潮の流れが良かったのか?
今回は運良く明石の真鯛が手に入りました。
もちろん天然物で活け締めのお刺身用。
型は1キロほどですが、文句なしに美味しい鯛です。
私はここ数十年、養殖物の鯛は触ったことがありません。
魚もいろいろ種類がありますが、鯛には特にこだわりがあります。
料理屋さんのお刺身、また、お寿司屋さんでも主流は養殖鯛です。
活け締めですから身はイカってコリコリしていますが、脂っぽくて旨味がない。
やはり餌の違いと生活環境の差でしょう。
浅瀬で飼われていますので、魚体は黒く目がギラついています。
しかし、養殖物がなければ鯛などは庶民の口には入りませんし、もちろん当店の献立にも上がりませんから、無視できないありがたい存在ではあります。
今回の天然真鯛。
なんとも優雅な色と形は惚れ惚れします。
特に明石から淡路にかけての鯛は海老を食べていますので、桜色をしています。
また、急流を泳いでいますので、身は締まりプリプリとしています。
鯛を捌いてサッと焼き、黄金出汁と鯛出汁を混ぜて炊飯します。
今の真鯛は産卵前で一番美味しい時期に当たります。
お天気は崩れそうですが、旬の鯛めしをリーズナブルな価格でぜひご賞味ください。
◆おかず◆ 茄子のお浸し 白ネギの卵とじ サラダブロッコリー
◎税込出血価格 540円
本日は、淡竹(ハチク)ご飯です。
当店では毎年一二回は献立に上がります。
通常、筍と呼ばれるものは主に孟宗竹(モウソウチク)です。
しかし今回のハチクもまた筍の仲間です。
ハチクは孟宗竹が終わる頃にニョキニョキと出てきます。
普通の筍は地表に出る前に掘り起こします。
地面から顔を出すとエグみやアクが強くなりますから。
ハチクの場合は地表から出てきたものを刈り取ります。
地中の根の部分は硬くて食べられませんので、地面から3、40センチ伸びたものが食用になります。
ハチクも太さによってランク付けされます。
細いものは親指ほどですが、太くなるに連れ高価になります。
今回私が仕入れたハチクは筍の本場、京都の大原野産。
一番太くて立派な上品です。

ハチクは比較的アクやエグみが少ないようです。
もちろん米糠でアク抜きはしますが、柔らかいので短時間で出来ます。
ただ、ハチクは皮を剥くとかなり小さくなります。
今回10キロ買いましたが、約半分になりました。
ハチクをアク抜きし、掃除して小さく切ります。
刻んだ油揚げと共に黄金出汁で炊飯します。
ハチクは出回る時期が短く、正に今が旬!
京都のハチクをぜひご賞味ください。
◆おかず◆ 高野豆腐の揚げ浸し 五目ひじき 小松菜の煮浸し
◎税込サービス価格 520円
【本日はサービス券の発行日です】
当店では毎年一二回は献立に上がります。
通常、筍と呼ばれるものは主に孟宗竹(モウソウチク)です。
しかし今回のハチクもまた筍の仲間です。
ハチクは孟宗竹が終わる頃にニョキニョキと出てきます。
普通の筍は地表に出る前に掘り起こします。
地面から顔を出すとエグみやアクが強くなりますから。
ハチクの場合は地表から出てきたものを刈り取ります。
地中の根の部分は硬くて食べられませんので、地面から3、40センチ伸びたものが食用になります。
ハチクも太さによってランク付けされます。
細いものは親指ほどですが、太くなるに連れ高価になります。
今回私が仕入れたハチクは筍の本場、京都の大原野産。
一番太くて立派な上品です。
ハチクは比較的アクやエグみが少ないようです。
もちろん米糠でアク抜きはしますが、柔らかいので短時間で出来ます。
ただ、ハチクは皮を剥くとかなり小さくなります。
今回10キロ買いましたが、約半分になりました。
ハチクをアク抜きし、掃除して小さく切ります。
刻んだ油揚げと共に黄金出汁で炊飯します。
ハチクは出回る時期が短く、正に今が旬!
京都のハチクをぜひご賞味ください。
◆おかず◆ 高野豆腐の揚げ浸し 五目ひじき 小松菜の煮浸し
◎税込サービス価格 520円
【本日はサービス券の発行日です】
昨日は風雨の中、沢山のお客様にご来店いただきました。
本当にありがとうございます。
さて、山鰻(ウナギ)とはなんでしょう?
正解は山芋です。
それほど栄養があり、滋養強壮に良い食品です。
また、ネバネバ成分のムチンはタンパク質の吸収を助け、疲労回復に効果的。
本日は、長芋ご飯です。
生でも加熱しても食せるのは山芋類だけです。
生ならシャキッと、加熱すればホクッとした食感が面白い。
どのように調理しても美味で、クセもなく食べやすい野菜です。
当店の長芋ご飯は、ちょうど中間の歯ごたえを目指しますが、それが中々難しい。
何分、大量調理ですので、鍋ムラもあり微妙な火加減の調節が必要です。
黄金出汁に長芋と油揚げを入れて炊飯します。
最近疲れて・・という方は、長芋ご飯で疲労回復に努めましょう!
◆おかず◆ 竹輪の磯辺揚げ チンゲン菜の煮浸し パプリカと新玉ネギの甘酢漬け
◎税込価格 500円
本当にありがとうございます。
さて、山鰻(ウナギ)とはなんでしょう?
正解は山芋です。
それほど栄養があり、滋養強壮に良い食品です。
また、ネバネバ成分のムチンはタンパク質の吸収を助け、疲労回復に効果的。
本日は、長芋ご飯です。
生でも加熱しても食せるのは山芋類だけです。
生ならシャキッと、加熱すればホクッとした食感が面白い。
どのように調理しても美味で、クセもなく食べやすい野菜です。
当店の長芋ご飯は、ちょうど中間の歯ごたえを目指しますが、それが中々難しい。
何分、大量調理ですので、鍋ムラもあり微妙な火加減の調節が必要です。
黄金出汁に長芋と油揚げを入れて炊飯します。
最近疲れて・・という方は、長芋ご飯で疲労回復に努めましょう!
◆おかず◆ 竹輪の磯辺揚げ チンゲン菜の煮浸し パプリカと新玉ネギの甘酢漬け
◎税込価格 500円
昨日の黒豆ご飯は以外にも?早めの完売でした。
皆さんさすがお目が高い。
黒豆ご飯はフライパンで香ばしく煎ってから炊飯するのですが、その煎る過程での香りが抜群に良かったです。
やはり丹波の黒豆は最高級といわれる値打ちはあったかと思います。
たかが豆・・とは思いますが、国産雑穀との取り合わせもあり、実はかなり贅沢なご飯でした。

本日は、若布(ワカメ)とジャコご飯です。
鳴門のワカメとチリメンジャコは明石のカナギを使います。
カナギとはイカナゴの稚魚をチリメンジャコにしたものですが、独特の旨味と風味があります。

ワカメをサッと湯がき、黄金出汁にカナギチリメンを入れて炊飯します。
初めは和歌山県出身のお客様からのリクエストで生まれたワカメご飯。
海のミネラルがたっぷりで、本日も栄養満点、健康的なご飯です。
◆おかず◆ サツマイモの甘露煮 太もやしの卵とじ 水菜と竹輪煮
◎税込価格 510円
皆さんさすがお目が高い。
黒豆ご飯はフライパンで香ばしく煎ってから炊飯するのですが、その煎る過程での香りが抜群に良かったです。
やはり丹波の黒豆は最高級といわれる値打ちはあったかと思います。
たかが豆・・とは思いますが、国産雑穀との取り合わせもあり、実はかなり贅沢なご飯でした。
本日は、若布(ワカメ)とジャコご飯です。
鳴門のワカメとチリメンジャコは明石のカナギを使います。
カナギとはイカナゴの稚魚をチリメンジャコにしたものですが、独特の旨味と風味があります。
ワカメをサッと湯がき、黄金出汁にカナギチリメンを入れて炊飯します。
初めは和歌山県出身のお客様からのリクエストで生まれたワカメご飯。
海のミネラルがたっぷりで、本日も栄養満点、健康的なご飯です。
◆おかず◆ サツマイモの甘露煮 太もやしの卵とじ 水菜と竹輪煮
◎税込価格 510円
カレンダー
カテゴリー
最新コメント
最新記事
プロフィール
HN:
しきしき
年齢:
18
性別:
非公開
誕生日:
2007/10/08
職業:
料理家
趣味:
料理とお菓子の研究
自己紹介:
以前はこだわりの料理屋を営んでおりましたが、より沢山の方に召し上がっていただきたく、炊き込みご飯と雑菓子の店を本町にオープンいたしました。どうぞよろしくお願いいたします。
<営業時間>
11:00より売り切れ次第終了
<定休日>
土・日・祝祭日
<所在地>
大阪市中央区久太郎町2-5-18
<電話>
(06)6245-5636
<ご予約>
8:00~11:00までにお願いいたします。
<営業時間>
11:00より売り切れ次第終了
<定休日>
土・日・祝祭日
<所在地>
大阪市中央区久太郎町2-5-18
<電話>
(06)6245-5636
<ご予約>
8:00~11:00までにお願いいたします。
カウンター
カウンター