今日の献立
本日は、鯛(タイ)めしです。
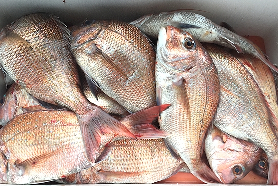
潮の流れが良かったのか?
今回は運良く明石の真鯛が手に入りました。
もちろん天然物で活け締めのお刺身用。
型は1キロほどですが、文句なしに美味しい鯛です。
私はここ数十年、養殖物の鯛は触ったことがありません。
魚もいろいろ種類がありますが、鯛には特にこだわりがあります。
料理屋さんのお刺身、また、お寿司屋さんでも主流は養殖鯛です。
活け締めですから身はイカってコリコリしていますが、脂っぽくて旨味がない。
やはり餌の違いと生活環境の差でしょう。
浅瀬で飼われていますので、魚体は黒く目がギラついています。
しかし、養殖物がなければ鯛などは庶民の口には入りませんし、もちろん当店の献立にも上がりませんから、無視できないありがたい存在ではあります。

今回の天然真鯛。
なんとも優雅な色と形は惚れ惚れします。
特に明石から淡路にかけての鯛は海老を食べていますので、桜色をしています。
また、急流を泳いでいますので、身は締まりプリプリとしています。
鯛を捌いてサッと焼き、黄金出汁と鯛出汁を混ぜて炊飯します。
今の真鯛は産卵前で一番美味しい時期に当たります。
お天気は崩れそうですが、旬の鯛めしをリーズナブルな価格でぜひご賞味ください。
◆おかず◆ 茄子のお浸し 白ネギの卵とじ サラダブロッコリー
◎税込出血価格 540円
潮の流れが良かったのか?
今回は運良く明石の真鯛が手に入りました。
もちろん天然物で活け締めのお刺身用。
型は1キロほどですが、文句なしに美味しい鯛です。
私はここ数十年、養殖物の鯛は触ったことがありません。
魚もいろいろ種類がありますが、鯛には特にこだわりがあります。
料理屋さんのお刺身、また、お寿司屋さんでも主流は養殖鯛です。
活け締めですから身はイカってコリコリしていますが、脂っぽくて旨味がない。
やはり餌の違いと生活環境の差でしょう。
浅瀬で飼われていますので、魚体は黒く目がギラついています。
しかし、養殖物がなければ鯛などは庶民の口には入りませんし、もちろん当店の献立にも上がりませんから、無視できないありがたい存在ではあります。
今回の天然真鯛。
なんとも優雅な色と形は惚れ惚れします。
特に明石から淡路にかけての鯛は海老を食べていますので、桜色をしています。
また、急流を泳いでいますので、身は締まりプリプリとしています。
鯛を捌いてサッと焼き、黄金出汁と鯛出汁を混ぜて炊飯します。
今の真鯛は産卵前で一番美味しい時期に当たります。
お天気は崩れそうですが、旬の鯛めしをリーズナブルな価格でぜひご賞味ください。
◆おかず◆ 茄子のお浸し 白ネギの卵とじ サラダブロッコリー
◎税込出血価格 540円
● この記事にコメントする
カテゴリー
最新コメント
最新記事
(11/19)
(11/18)
(11/17)
(11/14)
(11/13)
プロフィール
HN:
しきしき
年齢:
18
性別:
非公開
誕生日:
2007/10/08
職業:
料理家
趣味:
料理とお菓子の研究
自己紹介:
以前はこだわりの料理屋を営んでおりましたが、より沢山の方に召し上がっていただきたく、炊き込みご飯と雑菓子の店を本町にオープンいたしました。どうぞよろしくお願いいたします。
<営業時間>
11:00より売り切れ次第終了
<定休日>
土・日・祝祭日
<所在地>
大阪市中央区久太郎町2-5-18
<電話>
(06)6245-5636
<ご予約>
8:00~11:00までにお願いいたします。
<営業時間>
11:00より売り切れ次第終了
<定休日>
土・日・祝祭日
<所在地>
大阪市中央区久太郎町2-5-18
<電話>
(06)6245-5636
<ご予約>
8:00~11:00までにお願いいたします。
アーカイブ
カウンター
カウンター